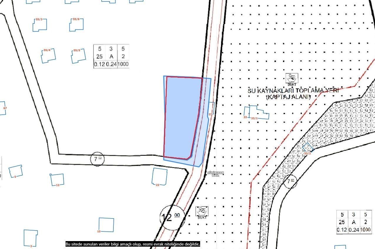
AKDAMAR - EĞRİBUCAK MAHALLESİNDE DOĞA İLE İÇ İÇE VİLLA ARSASI Kayseri, Melikgazi, Eğribucak
- Konut Alanı İmarlı
- 2.335 m2
-

Portföy No: 464663
Satılık - Konut Alanı İmarlı
8.750.000
- Gayrimenkul Durumu:
- Satılık
- Portföy Tipi:
- Konut Alanı İmarlı
- İl/İlçe/Mahalle
- Kayseri / Melikgazi / Eğribucak
- Fiyat:
- 8.750.000
- Döviz Satış Bedeli:
- 196.700
- Kullanım Durumu:
- -
- Tapu Durumu:
- Villa İmarlı Arsa
- Ada:
- 10247
- Pafta:
- -
- Parsel:
- 18
- Kaks:
- -
- Gabari:
- -
- Krediye Uygun mu?:
- Evet
- Net Alan
- 2.334 m2
- Brüt Alan
- 2.335 m2
- Birim Fiyatı (m2):
- 3.747
- Aidat:
- -
- Güncelleme Tarihi:
- 7.4.2026
Detaylı Açıklama
KAYSERİ MELİKGAZİ EĞRİBUCAK MAHALLESİNDE 2334m² BAĞ YERİMİZ SATILIKTIR. ULAŞIM VE ALTYAPI SORUNU YOKTUR. İFRAZ İŞLEMİ SONRASINDA 1670m² TEMİZ ARSA KALMAKTADIR. BU ARSA İÇERİSİNE İSTER 1 İSTER 2 İSTER 3 ADET'e KADAR VİLLA YAPILABİLİR. *İlanda 360 Görsel ve Tanıtıcı Video Mevcuttur. Mehmet DİBEN / Harita Teknikeri - Arsa Danışmanı Diğer Tüm İlanlarımız İçin;
Altyapı
- Elektrik
- Doğalgaz
- Telefon
- Kanalizasyon
- Su
- Yolu Açılmış
Konum
- Ana Yola Yakın
- Toplu Ulaşıma Yakın
Genel Özellikler
- Parselli
- Köşe Parsel
Manzara
- Şehir
- Doğa
Harita Konumu
Yol Tarifi Sokak GörünümüDETAYLI İLETİŞİM FORMU
Mehmet Diben
- Akdamar Gayrimenkul Danışmanlık
- +90 (352) 235-6262
- +90 (538) 941-3814
- mehmet.diben@gmail.com
- Mimarsinan Mah. Sivas Cad. 169/1 Kocasinan/KAYSERİ
TTYB NO : 3800445